Public Improvement District #1

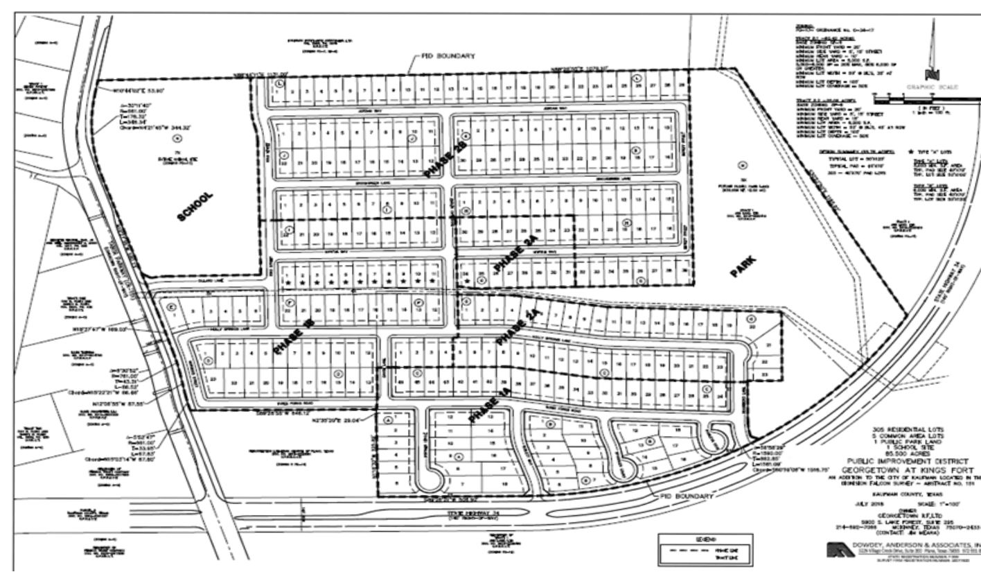
On November 13, 2018, the Kaufman City Council created Public Improvement District No. 1 (PID) for the area called Georgetown at Kings Fort (see map below). PID's are created to fund higher quality or special public improvements and services within a designated area and repaid by incremental assessment collected on the annual ad valorem tax bill. PID No. 1 was created to cover the public improvement costs for the roadways, water, sewer, drainage, landscaping, and screening in the area totaling an amount of $3,380,000.00. The repayment options for land owners in the PID are annual installments paid with your ad valorem taxes, full prepayment, or partial prepayment. The assessment amount to each property is based on the lot type (size). The total amount of the PID assessment is divided into equal portions based on the size of the lot that is owned. 
PID Map

Public Improvement District No. 1

Overview of Public Improvement Districts

Kaufman PID Overview 021418_Page_2
Kaufman PID Overview 021418_Page_3
Kaufman PID Overview 021418_Page_4
Kaufman PID Overview 021418_Page_5
Kaufman PID Overview 021418_Page_6
Kaufman PID Overview 021418_Page_7
Kaufman PID Overview 021418_Page_8